CUBA

¡Alerta Máxima! El Huracán Melissa Aumenta a Categoría 4 y Amenaza al Oriente Cubano: ¡Conoce las Medidas de Seguridad!

El Huracán Melissa vuelve a desatar su furia al alcanzar la peligrosa Categoría 4, poniendo en alerta al Oriente Cubano. Con un rumbo inesperado, la situación se vuelve crítica. ¡Entérate de todos los detalles y medidas de seguridad que debes seguir!

  • 29/10/2025 • 22:52

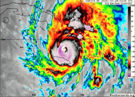
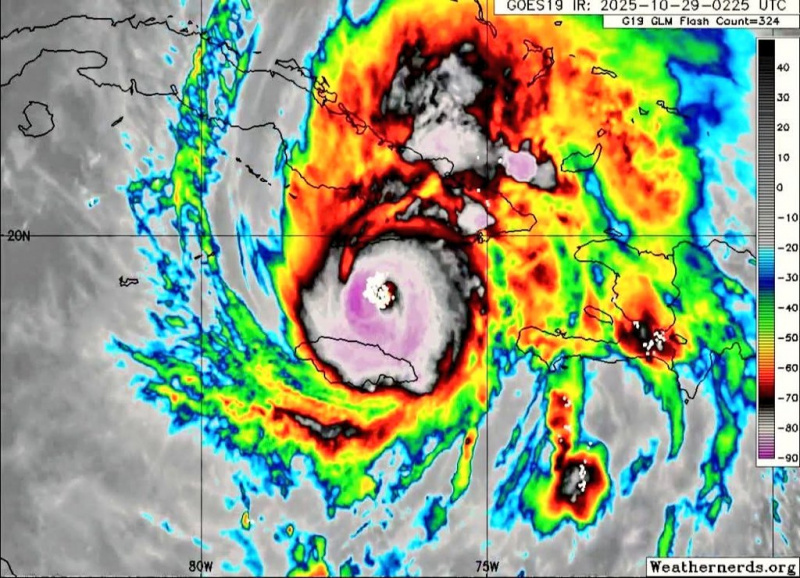
URGENTE: El Huracán Melissa se intensifica a Categoría 4 nuevamente, acercándose peligrosamente al Oriente Cubano.

 

El rumbo del Huracán se ha modificado, entrando más hacia la derecha, de la Geografía Oriental.

 

Actualización: 11:00 PM

 

Mantente informado y sigue las indicaciones de protección civil.

 

#HuracánMelissa #MelissaCategoría4 #OrienteCubano #AlertaMeteorológica #ÚltimaHora #CubaEnEmergencia #ProtecciónCivil #NoticiasCuba

 

© LaTijera